
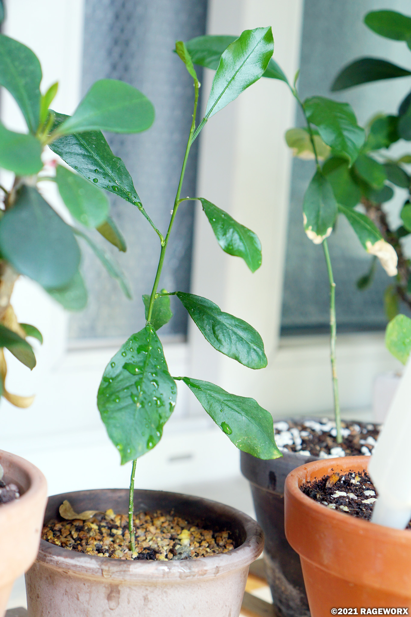
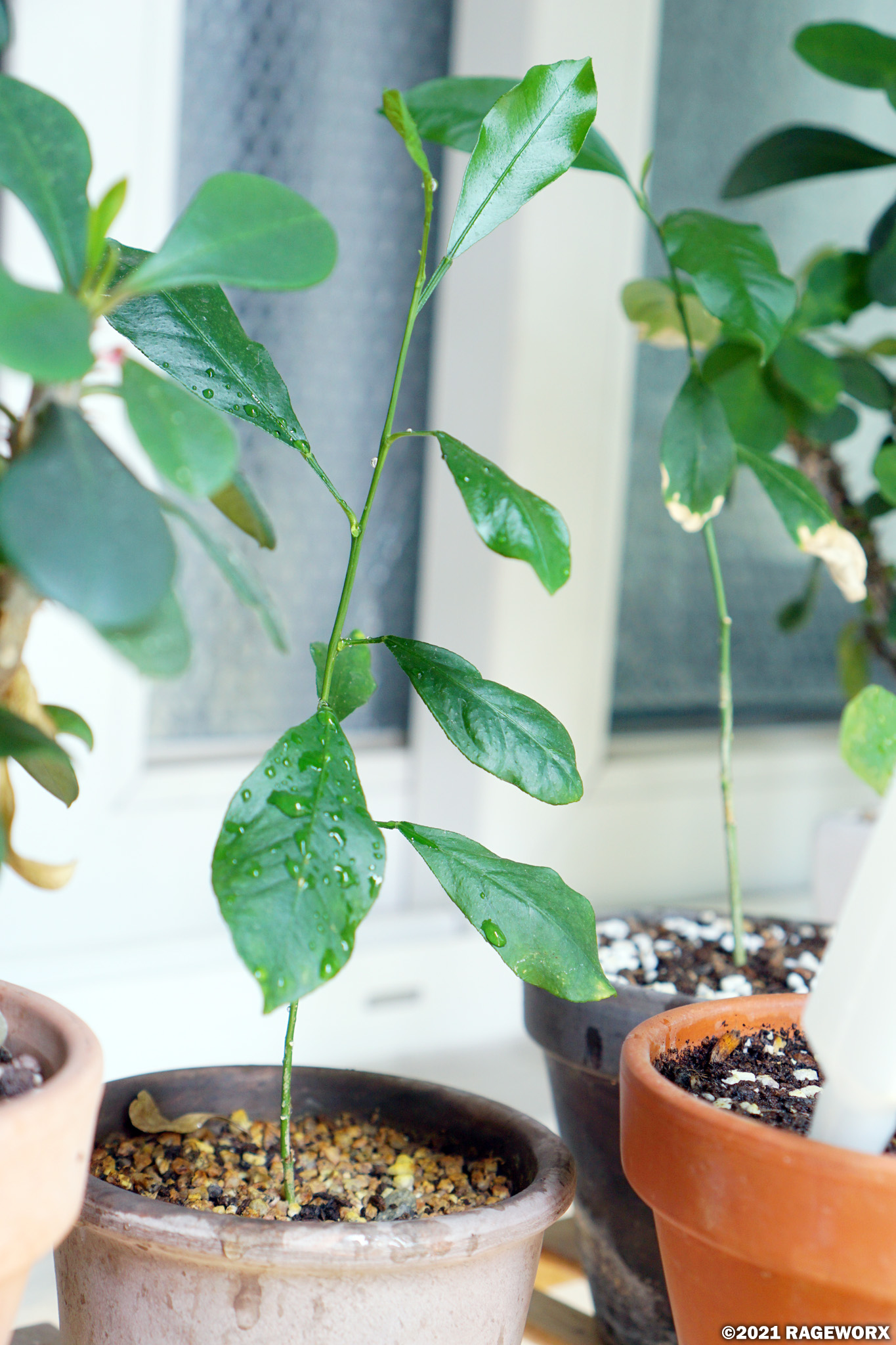
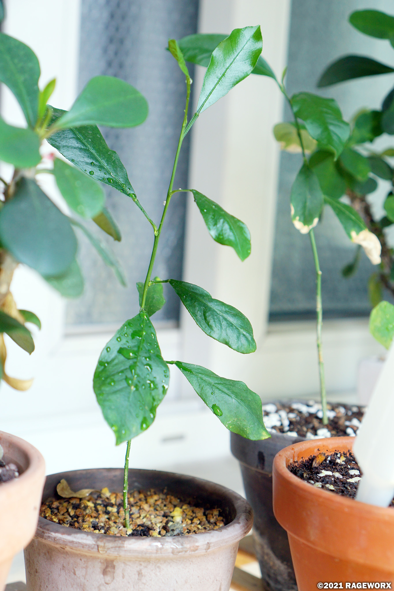
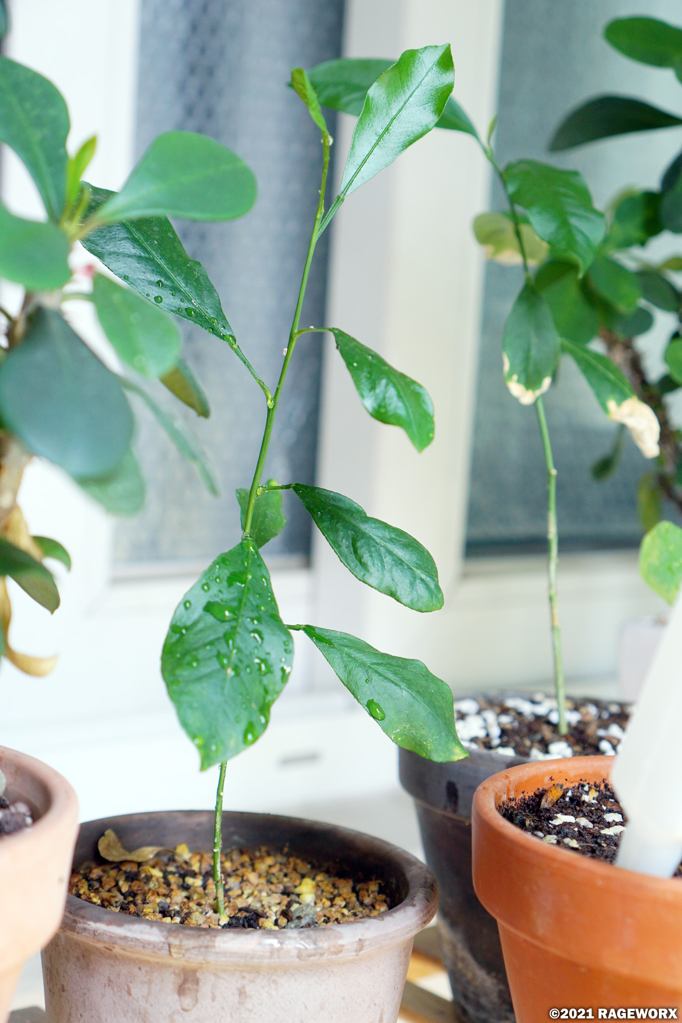
2020년의 혹독한 겨울을 지나고 2021년 봄과 여름 사이에 드디어 새싹들이 다시 자라나기 시작했습니다. 작년 겨울은 레몬나무 하나가 그만 운명을 달리했고, 나머지들도 꽤 고생을 했는지라 올해 여름엔 이들을 더욱 더 강하게 만들어 올해 겨울을 잘 나는 것이 목표가 되었습니다.







도중에 새싹이 아닌 것들이 더러 있긴 했지만, 아직 어리니 봐 주도록 하고 ... 올해 여름도 병충해 없이 비오킬의 파워를 등에 지고 아프지 않고 다들 무럭무럭 자라나서 내년에 더욱 더 풍성한 모습을 카메라에 담을 수 있으면 좋겠습니다.